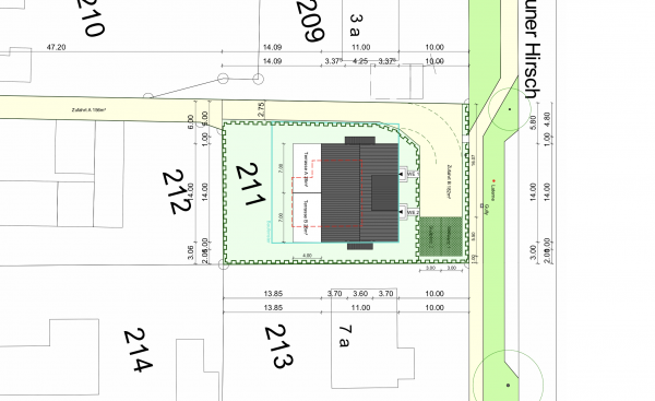
Neubau eines Doppelhauses auf einem rückwertigen Grundstück

Neubau eines Doppelhauses auf einem rückwertigen Grundstück

  • Fertigstellung: 2021
zurück